Lot in Amherst

125,000 $
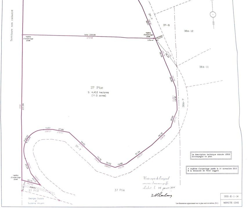
Description
Spacious 12-acre lot backing onto Crown lands, offering a peaceful natural setting and excellent potential to bring your real estate project to life. The property provides access to nearby lakes (Lac de la Grange, Lac de la Loutre, Jetté Lake and Petit lac Jetté). Located in a sought-after area known for its tranquility and proximity to nature, this lot offers an ideal balance of privacy, space, and development possibilities. An already established driveway and a cleared area intended for construction help simplify the planning of your future residence. Please note that the area is not serviced by Hydro-Québec.
Highlights
The property is located within a residential zoning designation and offers subdivision potential, subject to standard municipal verifications and approvals. This possibility opens the door to various scenarios, whether for a family project, real estate investment, or future development.
Please note that no septic system or well is currently installed, allowing the buyer to implement the required infrastructure according to their preferences and applicable regulations.
Highlights:
- Approximately 12 acres in size
- Access to nearby lakes (Lac de la Grange, Lac de la Loutre, Jetté Lake and Petit lac Jetté)
- Driveway installed and cleared building area -- ready for a construction project
- Residential zoning with subdivision potential (to be verified with the municipality)
- Quiet and sought-after natural setting
- No Hydro-Québec service -- ideal for an off-grid project
An appealing opportunity for buyers seeking space, nature, and development possibilities in a peaceful setting with strong potential.
Given the constantly evolving nature of municipal regulations, the SELLER and the listing broker cannot guarantee zoning compliance or applicable regulatory provisions. It is the BUYER'S responsibility to conduct all necessary verifications with the appropriate authorities to confirm that the intended use of the property complies with current regulations.
Special Conditions:
- The said property may be subdivided by the purchasers or their representatives and sold in a maximum of four (4) separate parcels only.
- Only one single-family residence may be built or maintained at any time on each subdivided parcel. Any construction, repair, renovation, or expansion of the main building must comply with the construction standards in force in the Municipality of the Township of Amherst. The same applies to any accessory building or structure typically erected on a residential property.
- The property must be used exclusively for residential or recreational purposes, excluding any commercial use; mobile homes are not permitted.
- Only electric motorboats will be permitted on the lakes; all other types of motors are prohibited.
Also see, located 5 minutes away: a 5-acre estate with cottage and large heated garage/workshop, off-grid, offered by the same seller -- Centris listing #23428174.
Life Style
Suggested properties
The more it is seen, the faster it is sold!
Activi-T
Views on the internet: 8,078
Visibili-T
Seen by over a million potential buyers every month, your property is displayed FREE of charge on over 100 websites across the country and around the world.



