Terrain à Champlain
230, Rue Notre-Dame

159 000 $
Description
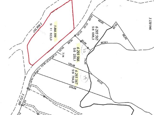
Sublime terrain bordé par le majestueux fleuve Saint-Laurent face à l'Île Carignan avec grands arbres matures vous offrant la possibilité de construire votre propriété principale ou demeure secondaire dans un endroit bucolique. Terrain d'une superficie de plus de 40 000pi2 situé à Champlain à seulement 20 minutes du centre-ville de Trois-Rivières. Possibilité d'acheter le lot adjacent appartenant au même propriétaire.
Points saillants
-
Partie du terrain en zone inondable (partie arrière du terrain près du fleuve Saint-Laurent)
-
Chalet à démolir
-
Possibilité d'acheter le lot adjacent appartenant au même propriétaire.
-
À la demande du VENDEUR : les offres devront être ouvertes pour un minimum de 48 heures et être accompagnées d'une préapprobation hypothécaire
-
Il est de la responsabilité de l'acheteur de s'engager et entreprendre de bonne foi toutes les démarches nécessaires auprès des autorités compétentes afin d'obtenir la confirmation que la destination qu'il entend donner à l'immeuble est conforme aux disposition et règlementations en matière de zonage
Style de vie
Propriétés suggérées
Plus c'est vu, plus vite c'est vendu !
Activi-T
Vues sur internet : 5 631
Visibili-T
Vue par plus d'un million d'acheteurs potentiels chaque mois, votre propriété est affichée GRATUITEMENT sur plus de 100 sites nationaux et internationaux.









