Terrain à Rawdon
Rue Gisèle

75 000 $
Description
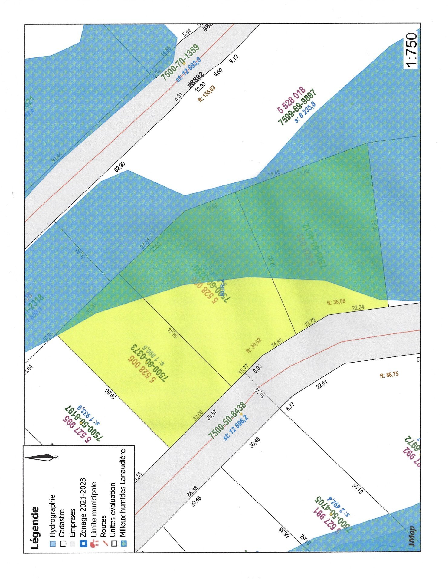
Amants de la nature cet endroit est pour vous, plusieurs activités s'offrent à vous à Rawdon, le golf, le ski, le VTT et encore plus. Pour construction résidentielle 3 lots pour un total de plus de 73 000 pieds carrés, présence de milieu humide déclaré par la municipalité sur un des lots, tout de même avec possibilité de construction sur ce terrain sous les recommandations de la municipalité, les vérifications d'usages seront la responsabilité de l'acheteur.
Points saillants
Style de vie
Propriétés suggérées
Plus c'est vu, plus vite c'est vendu !
Activi-T
Vues sur internet : 14 028
Visibili-T
Vue par plus d'un million d'acheteurs potentiels chaque mois, votre propriété est affichée GRATUITEMENT sur plus de 100 sites nationaux et internationaux.


