Terrain à Beaumont
35, Rue Livaudière

849 900 $
Description
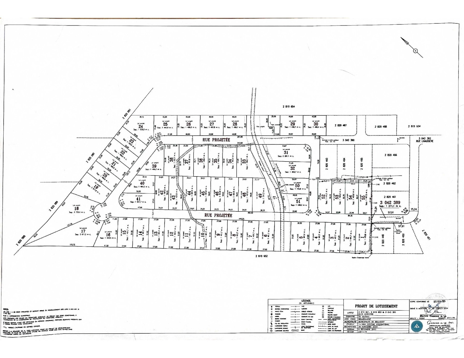
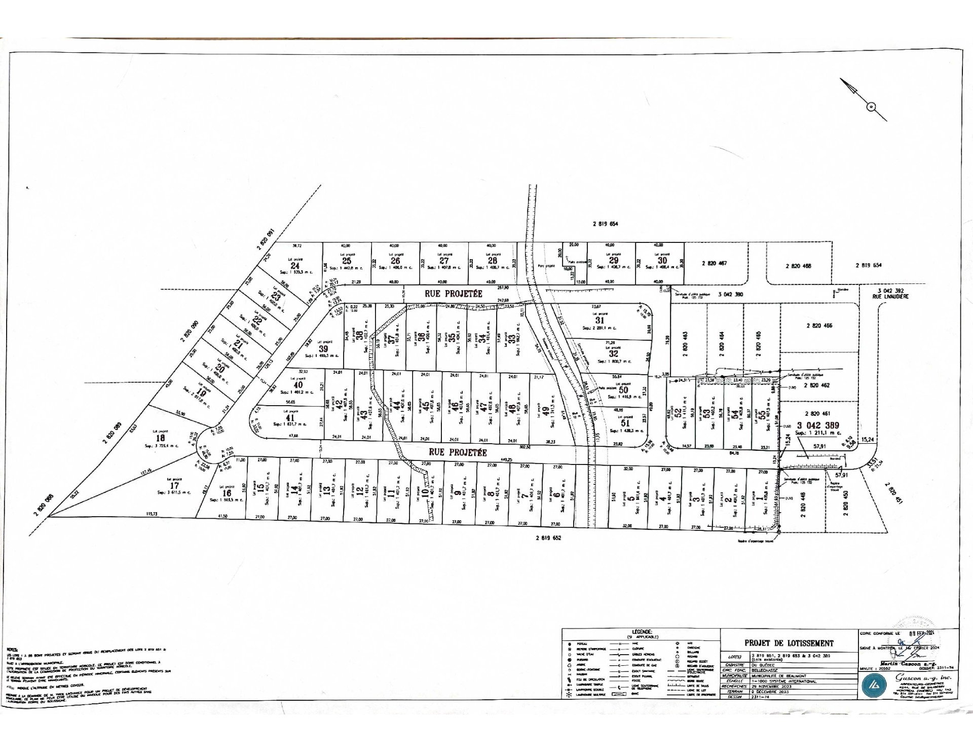
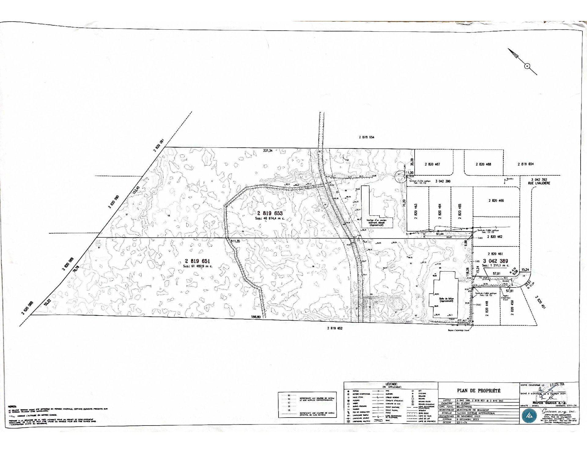
ATTENTION POUR ENTREPRENEURTerre agricole a développée. Il est possible d'y construire entre 55 et 80 maisons. 2 puits de bonnes capacités ont déjà été creusés pour desservir le projet.
Points saillants
**ATTENTION POUR ENTREPRENEUR**
-
Terre agricole a développée. Il est possible d'y construire entre 55 et 80 maisons. 2 puits de bonnes capacités ont déjà été creusés pour desservir le projet.
-
La projection initiale était de 55 maisons sur terrain de 16 000 pieds carrés minimum avec un aqueduc privé et fosse septique avec champs d'épuration pour chaque unité.
-
Il pourrait être possible d'y implanter environ 80 maisons sur terrain de 10 000 pieds carrés minimum en construisant un aqueduc privé ainsi qu'une station d'épuration des eaux usées.
-
Plusieurs études ont été fait jusqu'à présent et seront disponibles sur promesse d'achat acceptée.
-
L'acheteur aura à faire ses vérifications auprès des autorités compétentes.
Style de vie
Propriétés suggérées
Plus c'est vu, plus vite c'est vendu !
Activi-T
Vues sur internet : 7 993
Visibili-T
Vue par plus d'un million d'acheteurs potentiels chaque mois, votre propriété est affichée GRATUITEMENT sur plus de 100 sites nationaux et internationaux.




