Terrain à Lac-des-Aigles
Rue Principale (St-Guy), 13

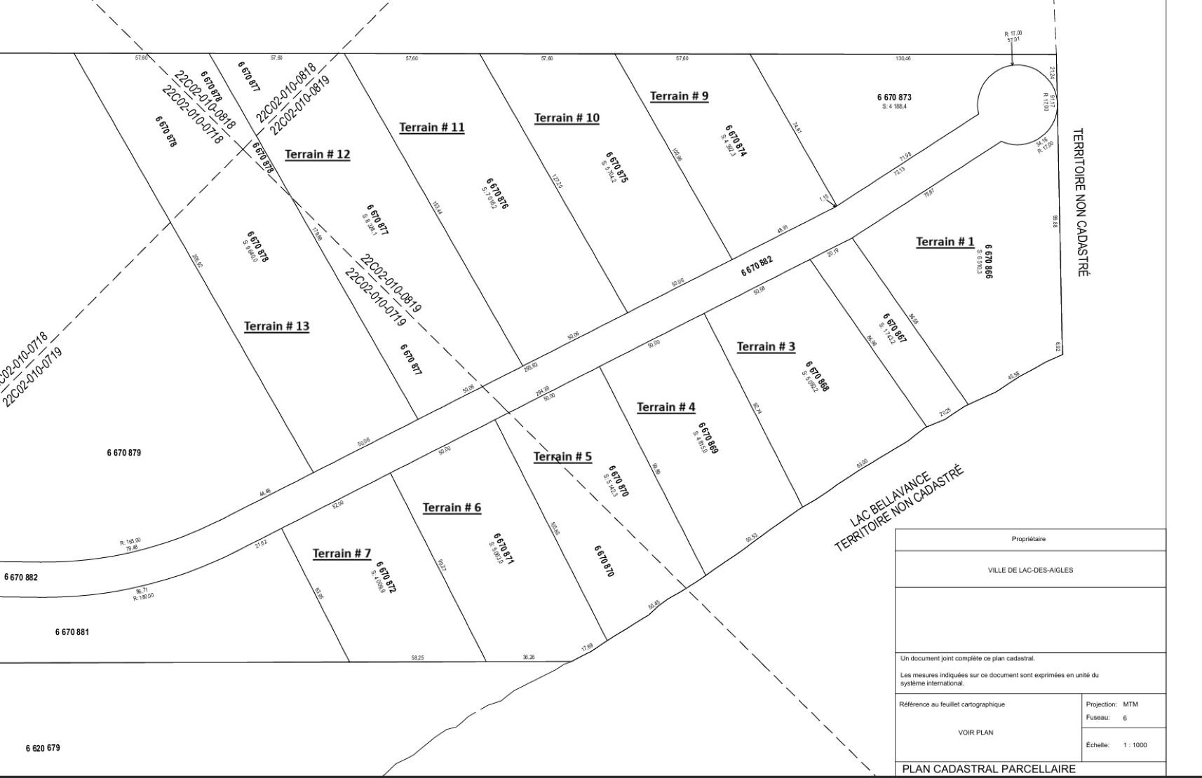
Description
TERRAIN 13 - Voici une rare occasion de devenir propriétaire d'un immense terrain boisé de plus 90 000 pieds carrés. Il offre un bel espace pour installer une roulotte (permise), une construction ou simplement profiter d'un coin tranquille en forêt. Situé dans un décor enchanteur, à proximité du lac Bellavance, un lac navigable idéal pour les amateurs de kayak, pêche et baignade. Ce lot bénéficie d'un droit d'accès au lac Bellavance et d'une descente de bateau. Une belle opportunité à petit prix pour créer votre espace de détente au coeur de la nature.
Points saillants
Aucun certificat de localisation ne sera fourni dans le cadre de cette transaction.
Avant toute mise à l'eau, les embarcations devront obligatoirement être nettoyées dans une station de lavage appropriée.
Les installations septiques (fosses et champs d'épuration) devront être conformes à la réglementation en vigueur.
Les berges du terrain devront être protégées conformément aux règlements municipaux applicables.
L'accès au réseau électrique existant sur place ne peut être garanti pour le moment.
L'installation de roulottes est autorisée sur la propriété.
Style de vie
Propriétés suggérées
Plus c'est vu, plus vite c'est vendu !
Activi-T
Vues sur internet : 2 770
Visibili-T
Vue par plus d'un million d'acheteurs potentiels chaque mois, votre propriété est affichée GRATUITEMENT sur plus de 100 sites nationaux et internationaux.













