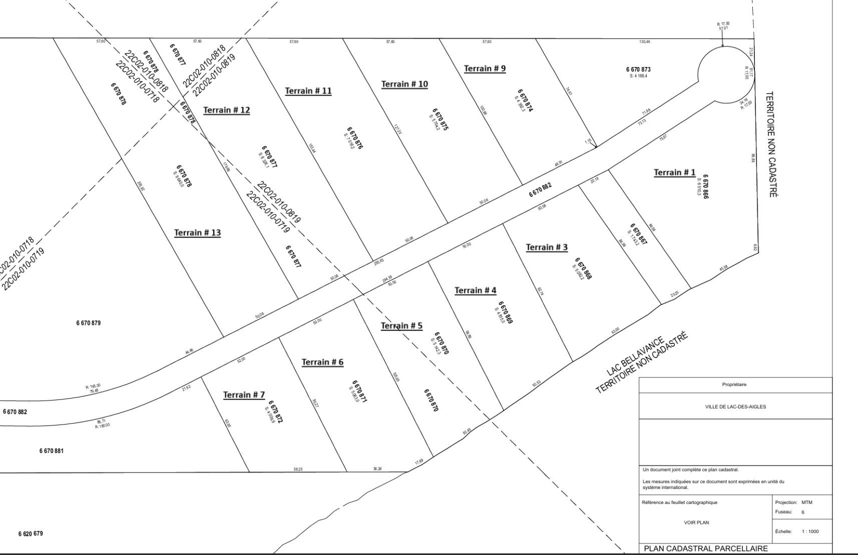
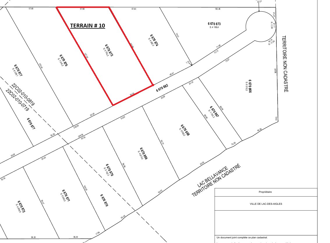
Terrain à Lac-des-Aigles
Rue Principale (St-Guy), 10

19 000 $ +TPS/TVQ
Description
Terrain boisé situé dans un secteur paisible de Saint-Guy, à proximité du lac Bellavance, un lac navigable parfait pour les amoureux de la nature. Avec plus de 50 000 pieds carrés, il offre un bel espace pour installer une roulotte (permise), une construction ou simplement profiter d'un coin tranquille en forêt. Vous bénéficiez d'un accès public au lac et d'une descente de bateau à proximité. Une belle opportunité à petit prix pour créer votre espace de détente au coeur de la nature.
Points saillants
Aucun certificat de localisation ne sera fourni dans le cadre de cette transaction.
Avant toute mise à l'eau, les embarcations devront obligatoirement être nettoyées dans une station de lavage appropriée.
En tant que courtier immobilier du vendeur, j'informe l'acheteur qui n'est pas représenté par un courtier immobilier, que je représente le vendeur et je défends les intérêts de celui-ci.
*L'acheteur est officiellement et légalement représenté par le courtier de son choix seulement quand il est lié à ce dernier par un contrat de courtage achat.
**Le traitement équitable: C'est agir en transparence et communiquer de manière objective de l'information sur l'ensemble des faits pertinents à la transaction ainsi que sur les droits et obligations de toutes les parties à la transaction, qu'elles soient représentées par un courtier ou non.
NB : consulter le site de L'OACIQ pour plus de détails.
Je ne représente pas et je ne défends pas les intérêts de l'acheteur. Je recommande à l'acheteur de se faire représenter par le courtier immobilier de son choix. Si l'acheteur choisit tout de même de ne pas être représenté, en tant que courtier immobilier du vendeur j'accorderai à l'acheteur un traitement équitable. Les installations septiques (fosses et champs d'épuration) devront être conformes à la réglementation en vigueur.
Les berges du terrain devront être protégées conformément aux règlements municipaux applicables.
L'accès au réseau électrique existant sur place ne peut être garanti pour le moment.
L'installation de roulottes est autorisée sur la propriété.
Style de vie
Propriétés suggérées
Plus c'est vu, plus vite c'est vendu !
Activi-T
Vues sur internet : 2 808
Visibili-T
Vue par plus d'un million d'acheteurs potentiels chaque mois, votre propriété est affichée GRATUITEMENT sur plus de 100 sites nationaux et internationaux.












